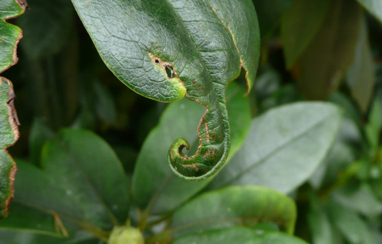
Exobasidium ?

Home

Plants

Molluscs

Crustaceans

Spiders

Insects

Amphibians

Reptiles

Birds

Mammals

other orders

Back
gall on rhododendron:    Exobasidium sp.
Prev
Next
City of London Cemetery , 15 September 2008
Back
More

I am not sure if this is a gall causing this distortion of a rhodeodendron leaf, but it may be Exobasidium